This beautiful page came from CSIRO in Australia. Unfortunately, they don't seem to make it available any more.
This is a copy I'd saved, and most of the links off of it will not work. (JC)

Back to Great Balls O' Dirt.

ARBUSCULAR MYCORRHIZAS

Line

Written and Illustrated by Mark Brundrett
CSIRO Forestry and Forest Products

Line

Index

  1. Introduction
  2. Looking at VAM
    1. Whole Plants
    2. The Dissecting Microscope
    3. The Compound Microscope
  3. Structures and Developmental Stages
    1. Soil Hyphae
    2. Root Contact and Penetration
    3. Hyphal Proliferation in the Cortex
    4. Arbuscules
    5. Vesicles
    6. Structural Diversity
    7. Spores
  4. VAM Fungi
  5. Host Plants
  6. Terminology
SPACER SPACER SPACER

A. Introduction

This section introduces VAM associations produced by Glomalean fungi, illustrates structures produced by these fungi in roots and defines the terminology used to describe them. These associations are known as arbuscular mycorrhizas, VA mycorrhizas, endomycorrizas, or endotrophic mycorrhizas and are abbreviated as VAM here. There is disagreement about whether arbuscular mycorrhizas or vesicular-arbuscular mycorrhizas is the most appropriate name to use, because some fungi do not produce vesicles, arbuscules are not always present in roots and the role of arbuscules in nutrient exchange has not been confirmed (Smith 1995, Walker 1995). VAM associations involve fungi in the Zygomycete order Glomales and the roots of a wide diversity of plants. Features of spores are usually used to identify Glomalean fungi. Components of VAM associations are listed below.
Diagram of soil hyphae and mycorrhizal root (12KB)
  1. Structures in Roots
    • Hyphae - these are non-septate when young and ramify within the cortex.
    • Arbuscules - intricately branched haustoria in cortex cells.
    • Vesicles - storage structures formed by many fungi.
  2. Structures in Soil
    • Hyphae - A network of hyphae forms in the soil with thicker hyphae which function as conduits and thin branched hyphae which are thought to absorb nutrients.
    • Spores - Large (for a fungus) asexual spherical structures (20-1000+ um diameter) that form on hyphae in soil or roots.
SPACER SPACER SPACER

B. Looking at VAM

These associations are introduced by 3 diagrams showing increasing magnification views. Information on the methods required to see mycorrhizal structures in Section 8.
Line

Level 1. Whole Plants

Level 1 (19KB)
ICON Mycorrhizal roots and the associated networks of hyphae are a major component of most soils, but structures produced by VAM fungi cannot normally be seen with the naked eye (they are greatly exaggerated in this diagram).
ICON Samples of roots or soil can be collected, processed and viewed with a microscope as described below to detect mycorrhizas.
Line

Level 2. The Dissecting Microscope

Level 2 (15KB)
ICON The medium level of magnification provided by a dissecting microscope allows hyphae and spores to be seen. These can be found by washing soil from roots very gently, or by using extraction procedures.
ICON Mycorrhizal structures within root are normally not visible, unless roots have been cleared in hot alkali to make them transparent and stained with a dye (Trypan blue or Chlorazal black E) that binds to fungal hyphae. Observations at this level are normally used to quantify mycorrhizal associations.
Line

Level 3. The Compound Microscope

Level 3 (13KB)
ICON The higher level of magnification provided by a compound microscope allows mycorrhizal structures within roots and details of spore structure to be seen.
ICON Root fragments that have been cleared and stained are examined to reveal structural details of mycorrhizas. Variations in these structures are sometimes used to identify fungi.
ICON Observations at this scale allow fungi to be identified by the structure of their spores. Spores are normally separated from soil by washing soil through very fine sieves, then concentrated by centrifugation in a dense medium such as a sugar solution.
SPACER SPACER SPACER

C. Structures and Developmental Stages

VAM associations form when host roots and compatible fungi are both active in close proximity and soil conditions are favourable. The stages in root colonization by VAM fungi are illustrated below. Associations formed by species of Glomus, Gigaspora, Scutellospora and Acaluospora are shown. Terminology is explained in the glossary.
Line

1. Soil Hyphae

Mycorrhizal associations may be initiated by spore germination as illustrated here. Hyphae may also originate from fragments of roots. In many cases there already is a pre-existing network of hyphae resulting from previous root activity. Hyphae resulting from spore germination have a limited capacity to grow and will die if they do not encounter a susceptible root within a week or so. In Scutellospora species hyphae emerge from a germination shield within the spore.
Spore germination (13KB)
Germinating hyphae which emerged several days after spores were extracted from dry soil. These spores are Gigaspora (left) and Scutellospora (right) species.
ICON ICON These spores were germinated on membrane filters in contact with soil solution (Brundrett & Juniper 1995). Hyphae in the picture on the left were stained with Trypan blue. AV = accessory vesicles (defined below). GS = germination shield. (Bars = 100 um)
Diagram of soil hyphae and mycorrhizal root (12KB) Soil hyphae, also known as extraradical or external hyphae, are filamentous fungal structures which ramify through the soil. They are responsible for nutrient acquisition, propagation of the association, spore formation, etc. VAM fungi produce different types of soil hyphae including thick "runner" or "distributive" hyphae as well as thin "absorptive" hyphae (Friese & Allen 1991). The finer hyphae can produce "branched absorptive structures" (BAS) where fine hyphae proliferate (Bago et al. 1998). Hyphae of VAM fungi have been observed to proliferate in soil microsites where nutrients are concentrated (St John et al. 1983). Hyphae of Scutellospora and Gigaspora species produce clustered swellings with spines or knobs called auxiliary cells (bodies or vesicles).

The network of hyphae in the soil is only connected to roots by the entry points that initiate mycorrhizal associations, as hyphae do not grow out of living roots.

Soil hyphae (16KB) Mycorrhizal root system washed carefully from coarse sand to reveal the intact network with external hyphae (arrow) with spores (S) produced by Glomus mosseae.

ICON ICON
(bar = 100 um)

Soil hyphae with auxiliary cells (14KB) Auxiliary cells (2K) Darkly pigmented soil hyphae (H) of a Scutellospora species with auxiliary cells (AV).
ICON
(Bar = 100 um)
Soil hyphae from a single spore (13KB) Soil hyphae produced by a single germinated spore of Gigaspora (arrow) used to start a VAM pot culture. This hyphal network has produced accessory vesicles and is spreading its mycorrhizal association throughout the root system of a clover plant.
ICON
(Bar = 100 um)
Line

2. Root Contact and Penetration

Mycorrhizal associations start when soil hyphae respond to the presence of a root by growing towards it, establishing contact and growing along its surface. Next, one or more hyphae produce swellings called appressoria between epidermal cells. Root penetration occurs when hyphae from the appressoria penetrate epidermal or cortical cells to enter the root. These hyphae cross the hypodermis (through passage cells if these are present in an exodermis) and start branching in the outer cortex. Relevant root structural features are explained in Section 2.
ICON The images in the following sections are of cleared roots which have been stained with Chlorazol black E. Many images are from a study of the time course of VAM formation by Glomus versiforme in leek (Allium porrum) roots (Brundrett et al. 1985).
enty points on root surface (15KB) Soil hyphae have produced 2 appressoria between epidermal cells (arrows). These are seen here in a surface view of a root with attached hyphae.

ICON
Whole mount focused on surface (Bar = 100 um)

entry point (8KB) Hyphae at an entry point (E) penetrating cortex cells (arrows) approximately 1 day after contact with the root.
ICON
Whole mount focused on outer cortex. (Bar = 100 um)
entry points in short cells (11KB) Alternating long (L) and short (S) cells in the dimorphic exodermis of a Smilacina racemosa root. Hyphae of VAM fungi have penetrated unsuberised short cells (arrows).

ICON
Surface view of whole root (bar = 100 um)

Line

3. Hyphal Proliferation in the Cortex

Aseptate hyphae spread along the cortex in both directions from the entry point to form a colony. Hyphae within root are initially without cross walls, but these may occur in older roots. Gallaud (1905) observed that VAM associations in different species formed two distinctive morphology types, which he named the Arum and Paris series after host plants. The differences between these two modes of spread within the root cortex are illustrated below. Both Arum and Paris type VAM associations are important in ecosystems (Smith & Smith 1997).
  • In roots with Arum series associations, VAM hyphae proliferate in the cortex by growing longitudinally between host cells. This occurs because hyphae grow through longitudinal intercellular air spaces that are present (Brundrett et al. 1985).
  • In Paris series VAM hyphae spread by forming coils within cells because there are no continuous longitudinal air spaces.
Diagram of VAM colony (8KB) A colony refers to hyphal growth within a root resulting from the same external hyphae (1 or more connected entry points). These are also called infection units.
Scutellospora colony (17KB) Part of a colony of a VAM fungus (Scutellospora sp.) resulting from hyphal growth from an entry point (arrow).

ICON
(Bar = 100 um)

(i) The Paris Type
These are associations where hyphae spread primarily by intracellular growth following a convoluted path through cortex cells. The resulting colonies of VAM fungi generally have a coiled appearance (Gallaud 1905, Brundrett & Kendrick 1998), but may have more digitate branching patterns (Widden 1996). Arbuscules may be restricted to a single layer of cells in the inner cortex.
Colony with hyphal coils (11KB) Colony of a VAM fungus spreading from the entry point (E) by convoluted hyphae in the inner cortex of an Erythronium americanum root. This hyphal growth pattern is typical of roots without cortical air channels.
ICON
(Bar = 100 um)
Arbuscules from coils (14KB) Higher magnification view of Arbuscules (A) in the inner cortex of an Erythronium americanum root. Note how arbuscular branched arise from the same hyphae (arrows) which spread the association to new root cells.

View larger images (40 KB)
ICON
(Bar = 10 um)

hyphal coils and arbuscules (11KB) Arbuscules (A) and convoluted hyphae (arrow) in the inner cortex of an Asarum canadense root. Arbuscules only form in the innermost cortex cell layer next to the endodermis in this species.

ICON
(Bar = 10 um)

(ii) The Arum Type
These are associations where hyphae grow along longitudinal intercellular air channels between the walls of root cells. A relatively rapid parallel spread of intercellular hyphae may occur along these channels. The resulting colonies of VAM fungi have a linear appearance.
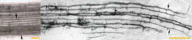
Air channels and hyphae (14KB)
Left: Intercellular air channels (arrows) in a whole mount of a living leek root, shown for comparison with mycorrhizal development. These channels run continuously from the apex to the base of roots. (Bar = 100 um)
Right: Longitudinal growth of hyphae of a VAM fungus (Glomus versiforme) along cortex air channels. Note progressive development of arbuscules (A) with increasing distance from the growing tips of hyphae. (Bar = 100 um)
Line

4. Arbuscules

Arbuscules are intricately branched haustoria that formed within a root cortex cell. They were named by Gallaud (1905), because they look like little trees. Arbuscules are formed by repeated dichotomous branching and reductions in hyphal width, starting from an initial trunk hypha (5-10 um in diameter) and ending in a proliferation of fine branch hyphae (< 1 um diameter).

Arbuscules start to form approximately 2 days after root penetration. They grow inside individual cells of the root cortex, but remain outside their cytoplasm, due to invagination of the plasma membrane. Arbuscules are considered the major site of exchange between the fungus and host. This assumption is based on the large surface area of the arbuscular interface, but has not been confirmed (Smith 1995). Arbuscule formation follows hyphal growth, progressing outwards from the entry point. Arbuscules are short-loved and begin to collapse after a few days, but hyphae and vesicles can remain in roots for months or years.

Young arbuscule (10KB) Developing arbuscule of Glomus mosseae in a root cell with fine branch hyphae (arrows). The trunk (T) of this arbuscule branched from an intercellular hyphae.

ICON
(Bar = 10 um)

mature arbuscule (13 KB) Mature arbuscule of Glomus mosseae with numerous fine branch hyphae.

View a larger image of this arbuscule (56 KB)

ICON
(Bar = 10 um)

Mature arbuscule (8KB) An arbuscule of Glomus versiforme in a root cortex cell with branch hyphae densely packed in the cortex cell of the host.

ICON
(Bar = 10 um)

Arbuscule of Gigaspora (12KB) Arbuscule of Gigaspora margarita with an elongated trunk hypha (T) and tufts of fine branch hyphae (arrows). Note how this arbuscule differs from the Glomus arbuscules above.

ICON
(Bar = 10 um)

Line

5. Vesicles

Vesicles develop to accumulate storage products in many VAM associations. Vesicles are initiated soon after the first arbuscules, but continue to develop when the arbuscules senesce. Vesicles are hyphal swellings in the root cortex that contain lipids and cytoplasm. These may be inter- or intracellular. Vesicles can develop thick walls in older roots and may function as propagules (Biermann & Linderman 1983). Some fungi produce vesicles which are similar in structure to the spores they produced in soil, but in other cases they are different.
Vesicles in Glomus (14KB) Vesicles (V) produced by a Glomus species in a leek root. This root also contains many intercellular hyphae.

ICON
(Bar = 100 um)

Acaulospora vesicles (12KB) Lobed vesicles of an Acaulospora species in a clover root.

ICON
(Bar = 100 um)

Saprophytic vesicles (13KB) Hyphae (arrows) and vesicles (V) of a putative VAM fungus within a rhizome scale of Hydrophyllum virginianum, a nonmycorrhizal plant. This saprophytic activity by VAM fungi can be distinguished by the absence or arbuscules.
ICON
(Bar = 100 um)
Line

6. Structural Diversity

It is possible to identify individual Glomalean fungi by recognising characteristic root morphology patterns in roots (Abbott 1982). Identification of endophytes within roots is important for culture quality control, because contaminating fungi can be identified months before they sporulate (Brundrett et al. 1999). This procedure can also be used to determine the mycorrhizal inoculum potential of different fungi by growing trap plants in a soil.

The best way to identify Glomalean fungus colonization in roots is to get to know them by examining single-isolate pot cultures. Mycorrhizal morphology is also influenced by host root structure, so it is best to work with one plant species. It is usually easier to identify fungi in roots with a thick cortex than in species with narrow roots, and species with heavily pigmented roots that are difficult to clear should be avoided if possible.

It is generally easy to recognise genera of VAM fungi by their root colonization patterns, but it is also often possible to separate species (especially within Glomus). Morphological features that are important include variations in vesicles (size, shape, wall thickness, wall layers, position and abundance), hyphal branching patterns, the diameter and structure of hyphae (especially near entry points), and the staining intensity of hyphae (dark or faint). Characteristics of genera of Glomalean fungi are listed and illustrated below.

Mycorrhizas produced by Glomus species:
Glomus VAM Diagram (7KB)
  • Relatively straight hyphae ramify along the root cortex (if root anatomy permits), often producing "H" branches which result in simultaneous growth in 2 directions. Staining of these hyphae is usually relatively dark.
  • Arbuscules can be dense and compact.
  • Oval vesicles, which usually form between root cortex cells, are present in many cases. These vesicles persist in roots and often develop thickened and/or multi-layered walls.
Mycorrhizas produced by Scutellospora and Gigaspora species:
Scutellospora VAM Diagram (13KB)
  • In Scutellospora VAM looping hyphae are often present near entry points. This genus has similar root colonisation patterns to Acaulospora, but hyphae in the cortex generally are thick-walled and stain darkly.
  • Internal vesicles are not present.
  • Arbuscular trunk hyphae normally are much longer and thicker than those of Glomus. Arbuscules may appear wispy because they have relatively long curving branches.
  • The root colonization pattern for Gigaspora is very similar to that for Scutellospora, but hyphae are thicker than those of most other VAM fungi.
Mycorrhizas produced by Acaulospora species:
Acaulospora VAM Diagram (9KB)
  • Entry point hyphae have characteristic branching patterns. Hyphae in the outer cortex generally are more irregularly branched, looped or coiled than for Glomus. Colonies in roots are often smaller than those produced by other genera.
  • Internal hyphae are thin walled, often stain weakly and thus may be very hard to see. They are often made more conspicuous by rows of lipid droplets. External hyphae are usually also very hard to see.
  • Intracellular oil-filled vesicles, that are initially rectangular, but often become irregularly lobed due to expansion into adjacent cells, are a characteristic feature of most isolates. These vesicles have thin walls and do not persist in roots.
Mycorrhizas produced by fine endophytes:
Fine endophyte VAM Diagram (8KB)
  • These unusual fungi have been called Glomus tenue, but are substantially different from other Glomus species.
  • Fine endophytes can easily be distinguished by their very narrow hyphae (< 1 um in diameter) and net-like growth pattern in roots.
  • Small hyphal swelling (< 5 um) can occur near entry points and may be analogous to vesicles.
Line

7. Spores

Spores form as swellings on one or more subtending hypha in the soil or in roots. These structures contain lipids, cytoplasm and many nuclei. Spores usually develop thick walls with more than one layer and can function as propagules. Spores may be aggregated into groups called sporocarps. Sporocarps may contain specialised hyphae and can be encased in an outer layer (peridium). Spores apparently form when nutrients are remobilised from roots where associations are senescing. They function as storage structures, resting stages and propagules. Spores may form specialised germination structures, or hyphae may emerge through the subtending hyphae or grow directly through the wall.
ICON The following pictures show some of the fungi isolated into pot cultures started using spores or soil collected from Kakadu National Park in tropical northern Australia (Brundrett et al. 1999).
Diversity of spores in a single soil sample
Spores on filter paper (16KB) Starting a culture from spores (12KB)
ICON Spores can be separated from soil then sorted into categories based on size and colour. The image on the right shows how spores (S) on a piece of filter paper can be used to start a "pot culture" using pasteurised soil in which a host plant will be grown.
ICON The images below show some of these spores viewed with a compound microscope. Inner wall layers have been revealed by crushing spores and by staining with Melzer's reagent (I2KI) (Bars = 100 um).
Spores of Glomus
Glomus spores (6KB) Relatively small white spores of a Glomus species. Spore of Glomus clarum sp.(3KB) Spore of Glomus clarum which has a visible inner wall layer (arrow).
Glomus sporocarp (6KB) Sporocarp of Glomus invermaium typical of the dead spores often found in field-collected soil. Glomus sporocarp (6KB) Living spores of Glomus invermaium from a pot culture.
Spores of Acaulospora
Spore of Acaulospora (8KB) Acaulospora spore with deep pits in the outer wall and inner wall layers stained by Melzer's reagent. Spore of Acaulospora (4KB) Acaulospora spore with several inner wall layers (arrows). One layer has stained darkly with Melzer's reagent.
Spores of Scutellospora
Scutellospora spore (4KB) White Scutellospora spores with prominent brown germination shields. Scutellospora spore (5KB) Large black spore with deep pits of Scutellospora reticulata.
SPACERSPACERSPACER

D. VAM Fungi

Many species of Glomalean fungi have worldwide distribution patterns and have apparently adapted to diverse habitats. However, it is known that soil factors such as pH restrict the distribution of some taxa (Abbott & Robson 1991) and some of these widespread taxa are now known to comprise more than one species (Morton 1988). Much of the functional diversity of Glomalean fungi occurs at the isolate level rather than species level (Brundrett 1991, Morton & Bentivenga 1994). Consequently, habitat information is as important as knowledge of the taxonomic identity of fungi, for comparing the results of experiments, or the selection of isolates for practical use.

Populations of mycorrhizal fungi are thought to have occupied the same soil habitats for millions of years, slowly adapting to changes in site conditions (Trappe & Molina 1986). Changes in populations of Glomalean fungi have been observed when ecosystems are converted to monocultures or severely disturbed, providing indirect evidence for habitat preferences by these fungi (Abbott & Robson 1991, Brundrett 1991). There is also experimental evidence that the performance (measured as increased host plant growth) of fungal isolates is related to environmental factors (Brundrett 1991, Abbott et al. 1992). However, we do not enough about the functional diversity of Glomalean fungi to understand the importance of changes in their diversity.

The classification of the Glomales is largely based on the structure of their soil-borne resting spores, but more recently the careful study of developmental processes and biochemical properties have provided valuable information (Walker 1992, Morton 1993). Accurate identification of Glomalean fungi often requires them to be isolated in cultures with host plants, to observe developmental stages and avoid the loss of diagnostic features which occurs in field-collected material.

SPACERSPACERSPACER
Summary
  • VAM fungi belong to the Zygomycete order Glomales.
  • They are primitive fungi of uncertain taxonomic affinities.
  • They apparently colonised land with first vascular plants and may have evolved very slowly since then.
  • There is no known sexual state for most of these fungi.
  • These fungi only produce microscopic structures.
  • Only about 150 species of these fungi are known, yet they are capable of forming mycorrhizal associations with 70% of Angiosperms as well as many ferns and conifers.

Classification scheme for Glomalean taxa (Morton & Benny 1990)

  • ORDER
    • SUBORDER
      • Family
        • Genus
  • GLOMALES
    • GIGASPORINAE
      • Gigasporaceae
        • Gigaspora
        • Scutellospora
    • GLOMINEAE
      • Glomaceae
        • Glomus
        • Sclerocystis
      • Acaulosporaceae
        • Acaulospora
        • Entrophospora

Only general information on the classification of Glomalean fungi is provided here. The following sites should be consulted for more information about these fungi:

  1. International Culture Collection Of Arbuscular and Vesicular-Arbuscular Mycorrhizal Fungi (INVAM)
  2. European Bank of Glomales (BEG)
SPACER SPACER SPACER

E. Host Plants

Families and genera of host plants for this association include a large proportion of the vascular plants, so are too numerous to list here. A list of Australian plants which have been shown to have VAM is provided.
SPACER SPACER SPACER

F. Terminology

This glossary defines important terminology used to describe vesicular-arbuscular mycorrhizas (VAM).
Appressoria
Hyphal swellings between two adjacent root epidermal cells. These are sites where hyphae first penetrate root cells by exerting pressure and/or enzymatic activity.
Arbuscules
These are intricately branched "haustoria" that form within root cortex cells that look like little trees (Gallaud 1905). Arbuscules are formed by repeated dichotomous branching and reductions in hyphal width from an initial trunk hypha that ends in a proliferation of very fine branch hyphae. They are considered to be the major site of exchange with the host plant. Old arbuscules collapse progressively until only the trunk remains. Collapsed arbuscules are sometimes called peletons.
Aseptate hyphae
These are hyphae which are without cross walls (coenocytic hyphae). Cross walls may form as hyphae age.
Auxiliary bodies
These structures, which are also called external vesicles /or accessory bodies, are clustered swellings on external hyphae. These are often ornamented by spines or knobs and are characteristic of Scutellospora and Gigaspora. These apparently do not function as propagules.
Colony
Hyphal colonization of a root resulting from one external hypha (these may arise from several adjacent entry points). These are often called infection units.
Dichotomous branching
A symmetrical branching pattern which occurs when two branches arise simultaneously from the tip of a hyphae, plant or fungus organ. Divergent branches grow at the same rate.
Internal hyphae, intraradical hyphae
Hyphae which grow within the cortex of a root to form a colony and later develop arbuscules and vesicles. These comprise the body (thallus) of a fungus in the root.
Intercellular hyphae
Hyphae which grow between the walls of adjacent root cells. These are in the root apoplast -- the zone outside the cytoplasm of cells.
Intracellular hyphae
Hyphae which grow within root cells. These penetrate the walls of cells and grow within them, but are separated from the cytoplasm by the plasma membrane.
Soil hyphae
These are also known as extraradical or external hyphae and are the filamentous structures which comprise the fungal thallus (body) in the soil. They acquire nutrients, propagate the association, produce spores and other structures. VAM fungi produce thick "runner" or "distributive" hyphae as well as thin, highly branched "absorptive" hyphae.
Spores
These are swollen structures with one or more subtending hyphae that form in the soil or in roots. Spores usually develop thick walls, which often have more than one layer. They can function as propagules. Spores of VAM fungi are sometimes called chlamydospores or azygospores.
Sporocarps
Aggregations of spores into groups, which may contain specialised hyphae and can be encased in an outer layer (peridium). Soil particles may be included in the spore mass. This term can be misleading, as the sporocarps produced by most Glomalean fungi are small and relatively unorganised structures compared to those produced by larger fungi.
Vesicles
Intercalary (-o-) or terminal (-o) hyphal swellings formed on internal hyphae within the root cortex. These may form within or between cells. Vesicles accumulate lipids and may develop thick wall layers in older roots. The production and structure of vesicles varies between different genera of Glomalean fungi. They are storage organs which may also function as propagules.
Line
CSIRO logo
Home Page
FFP logo
CSIRO Forestry and Forest Products
ACIAR logo
Australian Centre for International Agricultural Research
This page was last revised October 14 1999
ICON
Start
Here
ICON
Intro-
duction
ICON
Roots
ICON
Top of
this page
ICON
ECM
ICON
Roles
ICON
Australian
Plants
ICON
Eucalypt
Associates
ICON
Methods
ICON
Refer-
ences

Back to Great Balls O' Dirt.